family CERAMBYCIDAE Latreille, 1802
subfamily LAMIINAE Latreille, 1825
tribe Agapanthiini Mulsant, 1839
genus Theophilea Pic, 1895
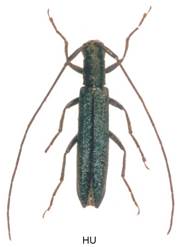
Theophilea subcylindricollis Hladil, 1988











Velikost 7-10 mm.
Bionomie. Není mi známa. Nalezl jsem tento druh smýkáním v r. 1968 poblíž Balatonu na suché stepní lokalitě opuštěného sadu, porostlého převážně Anisantha a Agropyron. – Imaga se vyskytují od poloviny V. do počátku VI.
Živné rostliny - Medvegy (1987) cituje Szalókiho (1976) na Agropyron repens a Poa angustifolia. Prvou rostlinu uvádějí také Danilevskij a Mirošnikov (1985) též pro Theophilea cylindricollis Pic.